Izen arrunta (z):
eu: belaikia.
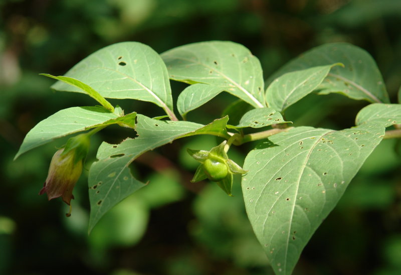
Generoa:Atropa
Forma biologikoa:Hemikriptofitoa
Tamaina gutxienez:50 cm
Tamaina gehienez:150 cm
Garaiera gutxienez:450 m
Garaiera gehienez:1600 m
Ingurunea:
Pagadietako eta beste baso-mota heze samar batzuetako soiluneak, megaforbiodun belartzak.
Banaketa orokorra:Eurosiberiarra
Hosto obobatuak, 4 cm baino zabalagoak; korola purpura edo arrexka, 1,5 cm baino luzeagoa; baia esferikoa, beltza, gereziaren tamainakoa; landare tentea, ez igokaria.
Ugaritasuna:
Pirinioak, tarteko eta hegoaldeko mendiak: U; iparraldeko mendiak: BB
Eskualdea:
Pirinio mendiak
Ugaritasun indizea:
Urria
Eskualdea:
Tarteko mendiak
Ugaritasun indizea:
Urria
Eskualdea:
Hegoaldeko mendiak
Ugaritasun indizea:
Urria
Eskualdea:
Iparraldeko mendiak
Ugaritasun indizea:
Bakana
Kokapena:
Iruzkinak
Komentariorik ez..
